Feld- und Waldbahn Riedlhütte e.V.

Hobby Eisenbahn

Bayerischer Wald

 

Hinweis: Die Bilder dieser Seite können größer (meist 800 X 600) angezeigt werden. Bilder mit linken Maustaste anklicken, nach dem Betrachten mit dem Zurück Befehl des Browsers ( Linker Pfeil oder rechte Maustaste, im Menü zurück) zu dieser Seite zurückkehren.


 

Bahnanlagen in Berlin Lichterfelde-West

 

Inhalt

1

  Lichterfelde-West (Berlins älteste Villenkolonie) 

2

  Das Ortszentrum Lichterfelde West am S-Bahnhof

3

  Bahnanlagen in Groß-Lichterfelde und im früheren Landkreis Teltow

4

  S-Bahnhof Lichterfelde-West

5

  US RTO Berlin - Amerikanischer Personenbahnhof Berlin - Lichterfelde-West

6

  Der Güterbahnhof Lichterfelde West

7

  Die Goerzbahn (ZEUHAG)

 Der Nordbahnhof

Die Strecke

Der Südbahnhof (Bhf. Schönow)

8

  AG Märkischer Kleinbahnverein (MKB)   --> Link auf die AG Märkische Kleinbahn
   

(C) 2011 Die Fotos auf dieser Seite stammen von Bernd Röhlke, Achim Grenzel und Winfried Meier, der auch Autor dieser Seite ist.

Die Goerzbahn (ZEUHAG)   

Eigentlich heißt die Bahngesellschaft ZEUHAG, was Zehlendorfer Eisenbahn- und Hafen-AG bedeutet. Den Namen Goerzbahn verdankt sie der Firma C.P. Goerz (später Zeiss-Ikon AG), zu deren Bau sie 1905 errichtet wurde und die an ihrem Ende liegt. Der Hauptteil der Strecke verläuft entlang des Dahlemer Weges, der auch gleichzeitig die Grenze zwischen Zehlendorf und Lichterfelde bildet. Die Bahn verfügte anfangs nicht einmal über Lokomotiven. Der Betrieb auf der zunächst von der ZEUHAG betriebenen Strecke, wurde mit von Pferden gezogenen Wagen durchgeführt. Ab 1908 setzte man auch feuerlose Lokomotiven ein. Die Firma C.P. Goerz hatte 1911 rund 2500 Angestellte. Durch die Umlagerung von Produktionen übernommener Firmen und die Produktion optischer Geräte fürs Militär stieg die Zahl der Angestellten im ersten Weltkrieg auf rund 12000 Mitarbeiter an, von denen der größte Teil in der neuen Fabrik arbeiteten. Während des Ersten Weltkriegs kam im Dezember 1912 auch die erste Dampflokomotive zum Einsatz und der Betrieb der Bahn wurde von der Firma C.P. Goerz übernommen.  Auf der Goerzbahn wurde von diesem Zeitpunkt an auch Personenverkehr durchgeführt, der erst während des Zweiten Weltkriegs eingestellt wurde. Die Personenzüge waren mit bis zu  45 km/h unterwegs. Inzwischen werden die Güterzüge nur noch mit 10 km/h gefahren. Nach dem Krieg waren überwiegend Dampflokomotiven der Br 50 auf der Strecke im Einsatz, später wurden Dieselloks der DR Br. V 60.10 eingesetzt.  Heute dient die Strecke als Anschlussbahn für den Güterverkehr, wobei vom wichtigsten Kunden dem Automobilzulieferer Visteon Ganzzüge mit Karosserieteilen in Richtung der Fordwerke in Köln verkehren. (Anm.: Die Fordwerke hatten in Deutschland anfangs in Berlin am Westhafen ihre ersten deutschen Autos zusammen gebaut, dann kurz in Berlin-Mariendorf am Ford Damm in ihren Sitz. Heute ist dort die Daimler AG). Die Teile für Ford werden in großräumigen Schiebeplanenwagen transportiert, von denen ständig etliche im Bahnhof Lichterfelde West und in der Rangiergruppe an der Goerz Allee herumstehen. Der Betrieb auf der Anschlussbahn wird von der DB AG derzeit ausschließlich mit funkferngesteuerten Rangierlokomotiven der Baureihe BR 363 – mit gelben Rundumleuchten auf dem Dach versehen – durchgeführt. Ab Lichterfelde West sind Lokomotiven der Baureihe 232 zum Einsatz. Besonders interessant am Streckenende in Schönow ist das Gebäude, durch das zwei Gleise in Richtung Stichkanal hindurchführen. Das andere Gleis führte zu ehem. Zehlendorfer Spinnstofffabrik. Inzwischen wurde 2018 der Güterverkehr auf der Strecke eingestellt und zur Zeit ruht der Betzrieb. Einzellheiten findet man unter mkb-aktuell ab Heft 66.. Siehe hierzu den Link auf die Seiten mkb-aktuell

Der Nordbahnhof und seine Umgebung

Vom Nordbahnhof der Görzbahn gibt es fast keine Fotos, obwohl es hier einen erheblichen Personenverkehr gab. Im ersten Weltkrieg, aber auch im zweiten war das Fahrgastaufkommen zu den Fabriken am anderen Ende der Strecke groß. Die Züge hatten immerhin eine Länge von bis zu  11 Wagen. Das erste Gleis am Dahlemer Weg war ein Kopfgleis, der Bahnsteig war überdacht und das Gleis auf der anderen Bahnsteigseite war ein Durchgangsgleis. Daneben befanden sich weitere Gleise. Das äußerste Gleis diente als Ladestrasse für dort liegenden Firmen. Nach dem Krieg war es dort die Kohlenhandlung Heide, die Holzhandlung Emmerich und die Industriebau West GmbH. Vom Ende des Bahnsteigs führte eine recht steile Treppe nach oben auf den Dahlemer Weg. Sie endete fast direkt am Bordstein der Strasse. Ein Gehweg war dort nicht vorhanden, dieser befand sich auf der anderen Seite der Strasse. Die Brücke lag wesentlich höher wie das umliegende Gelände und es führten längere Straßenrampen hinauf. Der Dahlemer Weg war damals kopfsteingepflastert und mit höchstens 5 m sehr schmal und ohne seitliches Banket. Die Brücke über die Bahn war von gleicher Breite, wenn nicht noch etwas schmäler. Es war eine Blechträgebrücke mit oben liegendem Gurt. Dieser ersetzte gleichzeitig das Brückengeländer Zu seinem Schutz gab es einen Bordstein mit einem ca. 40 bis 50 cm breiten Fußweg. Fußgänger und sich begegnende Fahrzeuge wurden auf der Brücke zum Problem. Auf der Lichterfelder Seite des Dahlemer Weges gab es von der Schubert Str. aus auch einen nicht minder steile Treppe zum Dahlemer Weg hinauf.  Auf dieser Seite führte ein kurzer schmaler Fußweg zur Brücke. In Richtung Teltow gab es die Straßenrampe hinunter auf beiden Seiten des Dahlemer Weges keinen Fußweg. Man konnte nur über die Schubert Strasse und die Curtiusstraße als Fußgänger laufen. Auf der anderen Seite der  Brücke führte eine etwas kürzere Straßenrampe von der Brücke hinunter. Auf dieser Seite der Bahn war das Grundniveau des Geländes etwas höher Der Fußwerg war hier etwas breiter und endete unten an der Mörchinger Str. Auf der einen Seite der Rampe war auf Zehlendorfer Seite eine Baumschule (Baumschule Späth) auf der Gehwegseite wurde das Gelände zwischen Bahn und Mörchinger Strasse durch das Materialprüfungsamt genutzt. Dieses hatte dort Telefonmasten für Dauerversuche  aufgestellt. Vor dem Kriege befand sich auf der erweiterten Fläche zwischen der Mörchinger Strasse und Unter den Eichen die Endhaltestelle der Straßenbahnlinien 40 und 77 welche in Richtung Steglitz und Innenstadt fuhren. Näher kam von der Berliner Innenstadt keine Straßenbahn an das Zentrum von Zehlendorf heran. Über diesen beschriebenen Weg mussten früher auch alle Arbeiter vom Nordbahnhof zu den Straßenbahnen und Bussen der BVG gehen um dann weiter befördert zu werden.

Während des Krieges wurden bei Zeiss-Ikon kriegswichtige Teile produziert, deshalb existierte am Bahnhof auch ein Fremdarbeiterlager. Der Nordbahnhof wurde wiederholt bombardiert. Einige Bomben verfehlten ihr Ziel um 80 bis 120 m und landeten in der Wohnbebauung an der Curtiusstrasse und den angrenzenden Straßen. Auch das am Bahnhof gelegenes Fremdarbeiterlager wurde getroffen. Eine der 500 kg Bomben - die dem Bahnhof gewidmet waren - fand sich 1984 in der Schubertstrasse, sie hatte ihr Ziel nicht weit verfehlt, war aber Gott sei Dank ein Blindgänger. Ganz in der Nähe an der Kreuzung Curtiusstrasse Ecke Lotzestrasse zerstörte solch eine Luftmiene gleich mehre Häuser. Auch das Haus meiner Großeltern wurde durch Phosphorbomben getroffen und brannte aus. Auch an der Ecke Curtiusstrasse/Gräfenberger Weg und in der Jägerndorfer Zeile wurden Häuser von Bomben getroffen, die der Bahn galten. In einigen der Ruinen haben wir noch Ende der 50er Jähre gespielt.

So sah das Haus meiner Großeltern nach einem Bombenangriff auf den Bahnhof  am 1. 4. 1944 aus.

Mein Großvater baute es noch im Krieg provisorisch wieder auf. Es galt deshalb später nicht als Kriegsschaden und es gab keine Entschädigung.

Mein erstes Fahrzeug  - Im Hintergrund Ruinen an der Troppauerstrasse Ecke  Curtiusstrasse

Nach dem Krieg wurde noch im Jahr 1945 der Personenverkehr eingestellt. Der Nordbahnhof wurde als Personenbahnhof aufgelassen und das Bahngelände des Bahnhofs war ungenutzt und diente uns später als Abenteuerspielplatz.  Das umliegende Gelände wurde während und nach der Blockade als Laubenkolonie genutzt. Das Bahnhofsdach bzw. das was noch da war, hatten Laubenpieper - z.B. wie mein Vater - für die Eindeckung ihrer Gartenlauben genutzt oder hatten ihre Wohnung damit geheizt. An der Ladestrasse siedelten sich einige Gewerbebetriebe mit ihren Lagerplätzen an. Meine andere Großmutter, sie war Kriegsflüchtling und hatte auf der Flucht durch Schüsse ein Bein verloren, kaufte in der Curtiusstrasse gegenüber dem Bahnhof eine der Ruinen und baute sie wieder auf. Ich hatte daher bei ihr freien Blick auf die Görtzbahn und den ehemaligen Bahnhof. Der Bahnsteig wurde in in diesen Jahren als Lager für Briketts genutzt. Es handelte sich um die so genannte Senatsreserve für den Blockadefall. In dieser Zeit bediente die Reichsbahn die Strecke mit Dampflokomotiven der Br 50. Da die Braunkohle im Sommer zur Selbstentzündung neigte und die Dampfloks das übrige taten, gab es immer wieder sehenswerte Feuerwehreinsätze mit anschließenden tagelangen Brandwachen.

In solchen Lauben wurden Teile des Bahnhofsdaches als Laubendach verbaut. Mein 1.Fahrzeug hatte inzwischen einen neuen Besitzer.

Auf den Gleisen der Görtzbahn - Im Hintergrund Wohnungsneubauten in der Brettnacher Str. und dem Brittendorfer Weg.

Im Hintergrund die Häuser an der Mörchingerstrasse neben der Baumschule.

Die gekaufte Ruine am Dahlemer Weg ist hier schon wieder teilweise aufgebaut.

Auch auf der anderen Seite der Bahnbrücke hatte sich nach dem Krieg einiges verändert. Es fuhr dort schon lange keine Straßenbahn mehr, nun fuhren dort Doppelstockomnibusse der Linien A 48 und A 11, letzterer bog hier von Zehlendorf kommend in die Thiel Allee in Richtung Dahlem ab. Auf der Fläche des Materialprüfungsamtes waren die Telefonmasten weg und nun residierte hier der Labor Service der Amerikaner. Dann wurde der Dahlemer Weg besser und breiter ausgebaut. Die alte schmale Brücke kam weg und wurde durch eine breitere ersetzt Neben dieser Brücke wurde für die Fußgänger eine separate Brücke gebaut und der Dahlemer Weg erhielt ab der Brücke bis zur Curtiusstrasse auf der Lichterfelder Seite einen Gehweg. Die andere Seite blieb weiterhin ohne Fußweg. Mit einem Mal waren die letzten Grundstücke der Curtiusstrasse Anlieger an zwei Strassen. Der Ausbau führte zu einem erheblich stärkerem Verkehrsaufkommen auf dem Dahlemer Weg. Nun nutzten die Amerikaner das ehem. Bahnhofsgelände. Als erstes entstand ein Kühlhaus und anschließend Betriebsgebäude für Mitarbeiter, die für die Gebäudeunterhaltung der Amerikanischen Einrichtungen in Berlin zuständig waren.

     

     

 

 Das Video zeigt das ehemalige Gelände des Nordbahnhofes nach der Bebauung durch die Amerikaner Es war lange Zeit Achims  Arbeitsplatz. Am Anfang des Filmes und bei einigen Schwenks habe ich das Haus meiner Großmutter entdeckt. Ich stelle mit erstaunen fest, wie klein die Welt ist, aber ich bin ihm hier nie begegnet.

 

Die Strecke

 

  Zum Gleisplan des Bhf. Lichterfelde West

Die Strecke weist keine Besonderheiten auf. Auf Karten wird sie als neben dem Dahlemer Weg liegend dargestellt, dieses ist nur bedingt richtig. Ab der Finkenstein Allee verläuft die Strecke eigentlich im Mittelstreifen des Dahlemer Weges. Bis zu seinem Ausbau war die Strasse auf der Lichterfelder Seite eine Kopfsteinpflasterpiste, sehr wellig und nicht schön zu fahren. Man hätte die Strasse als geradezu verkehrsberuhigt bezeichnen können, denn jeder fuhr langsam da die hüpfenden Räder so einen heftigen Lärm machten und das Auto stark durchgeschüttelt wurde und dröhnte. Die andere Seite war ein unausgebauter Sandweg, teilweise auch gekiest und  nicht immer durchgehend fahrbar. Die Gleise wurden und werden auf der gesamten Strecke immer wieder von Übergängen zu Seitenstrassen gekreuzt Erst mit dem Strassenausbau wurde auch die Zehlendorfer Seite des Dahlemer Weges geteert. Der Durchgangsverkehr findet jedoch auf der Lichterfelder Seite statt, die Zehlendorfer Seite hat den Status einer Anliegerstraße. Am Heinrich-Laer-Park fällt diese Seitenstrasse wieder weg. Hier biegt dann auch die Bahnstrecke nach links in Richtung Südbahnhof  (Bhf. Schönow) ab. Am Ende des Parks biegt auch die Strasse leicht nach links ab Hier ändert die Strasse noch auf einem kurzen Stück ihren Namen in Wupperstrasse (wahrscheinlich zu Ehren der Elberfelder Papierfabrik). Auf der Hälfte kreuzt dann noch mal ein Gleis die Strasse, dieses Gleis führte zu einer US-Einrichtung am Beeskowdamm. Heutzutage weist die Strecke einige Besonderheiten auf. Es wird mit Rücksicht auf die Anlieger - trotz vieler Straßenübergänge - weder geläutet noch gepfiffen. Dafür haben die Loks als Besonderheit ein gelbe Rundumleuchte auf dem Dach und es wird nur mit 10 km/h gefahren. Vor dem Krieg fuhren die Personenzüge mit bis zu 45 km/h den Dahlemer Weg entlang.

 

 <<<

Die Karte zeigt den ungefähren Stand der 50er und 60er Jahre

 

Zur Streckenkarte der Teltower Eisenbahn  Deren Bahnanlagen befanden sich auf der anderen Seite des Teltow Kanals und führt vom Kanal zur Anhalter Bahn. Sie ist südlich praktisch das Gegenstück zu Goerzbahn auf der nördlichen Seite des Kanals.

 

 

Aus YOUTUBE: Rundfahrt am 26.03.11 mit den Dampflokfreunden Berlin. Unterwegs auf der Goerzbahn (von Stefans Gartenbahn). Das Video läuft ein wenig zu schnell, aber anders ließen sich wohl nicht die Strecken-km unterbringen. Das Video beginnt auf der Höhe des ehemaligen Lagerhauses des RTO gleich hinter dem Bahnhofsgebäudes Lichterfelde West und endet kurz vorm Märkischen-Kleinbahn-Verein (Südbahnhof). Der Nordbahnhof der Görtzbahn befand sich an der Stelle des roten Gebäudes links nach der Brückendurchfahrt.

 

Der Südbahnhof (Bhf. Schönow)

 

Auch vom Südbahnhof gibt es kaum Fotos. Hier war der Betriebsmittelpunkt der Bahn. Der Bahnsteig hatte anders wie der Nordbahnhof kein Bahnhofsdach. Auch hier war das eine Gleis ein Stumpfgleis. Dieses wurde später entfernt. Das andere Bahnsteiggleis führte weiter und teilte sich auf in zwei Gleise in Richtung Stichkanal und einen anderen Abzweig zur Zehlendorfer Spinnstofffabrik. Die Spinnstofffabrik Zehlendorf AG war im Jahr 1937 aus der Elberfelder Papierfabrik hervorgegangen. Die Fabrik war eine Tochtergesellschaft von Hoechst und stellt Trevira Spinnfasern und Filamentgarne her. Neben dem Bahnsteig befanden sich weitere Gleise, die für Güterzüge genutzt wurden. Auch befand sich hier am Bahnhof der zweiständige Lokschuppen und die Behandlungsanlagen für die Dampfloks der Bahn. Die letzten Dampfloks der ZEUHAG wurde zwar erst 1966 verschrottet. Ich habe sie jedoch nicht mehr im Einsatz gesehen, sie waren nur noch im Lokschuppen hinterstellt und nicht mehr Einsatzfähig. Ihr Aus war mit der Berlin-Blockade gekommen. Diese hatte auch das Ende der eigenständigen Betriebsführung der ZEUHAG bedeutet. Von da an führte die Deutsche Reichsbahn den Betrieb auf der Anschlussbahn durch  Die Anlagen des Südbahnhofs werden heute überwiegend von der AG Märkische Kleinbahn genutzt. Der Lokschuppen und sein Vorfeld ist von ihm wieder einsatzbereit hergestellt worden. Der Güterverkehr wurde 2018 eingestellt.

Da wir keine weiteren Fotos des Bhf. Schönow haben hier ein Link auf die Seiten der AG Märkische Kleinbahn über den Bhf. Schönow

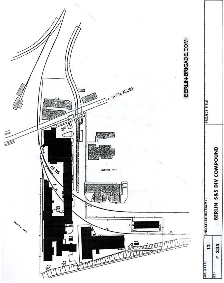
Die Amerikaner stellten den Bahnhof und sein Umfeld in ihren Unterlagen in dieser Form dar. Die obere Hausdurchfahrt wird heute noch genutzt.

   

 

 

Die McNair Barracks (ehem. Telefunken Fabrik) befinden sich an der Goerz Allee nicht weit weg vom Südbahnhof. Dieser ist am Filmanfang oben links. Man kann es erahnen entlang der gesamten Strecke der Goerzbahn gibt es - außer im Industriebereich - nur Siedlungshäuser.

 

Das folgende Buch über die Goerzbahn ist im Handel leider nicht mehr erhältlich.

    

Vielleicht gebraucht über Ebay oder als E-Book bei der AG Märkicher Kleinbahn